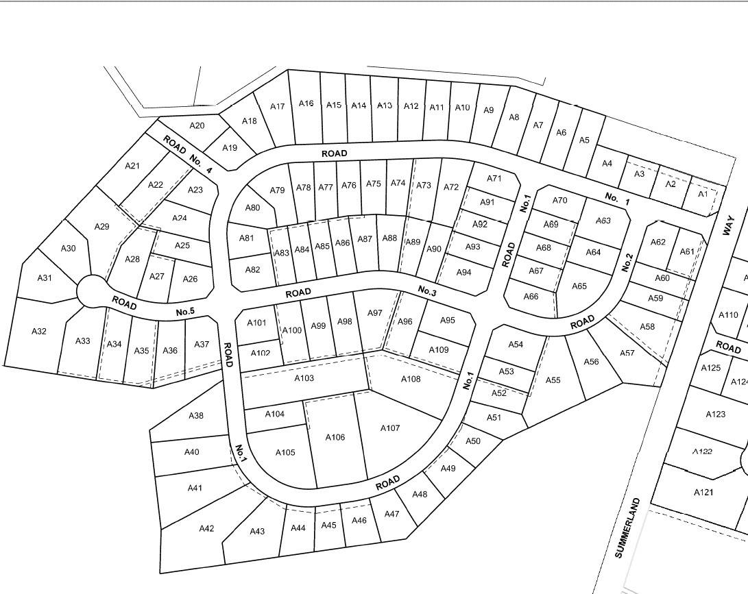
KYOGLE INDUSTRIAL DEVELOPMENT

This exciting development on the southern tip of Kyogle, has all the council development approvals needed to establish a much needed light industrial and business centre.

Kyogle is bursting in the CBD area and needs to expand to accommodate the towns growth. With recent rural residential and residential subdivision's been sold off the plan, the town is about to explode with building already starting.

This is a great opportunity for an investor / developer to move in and develop what Kyogle and surrounding towns and cities have been asking for. 

Kyogle may be the Gateway to the Rainforest, but it is also the gateway to Brisbane and most of the coastal beach towns, cities and inland routes to Toowoomba etc.

For further information, please contact Mike Smith 0413300680

 

  

29.41 ha
Address 13171 Summerland Way, Kyogle
Price CONTACT AGENT
Property Type Residential
Property ID 1305
Category Vacant Land
Land Area 29.41 ha

Agent Details

Mike Smith photo

Mike Smith

0413 300 680
View Profile